275 Harry Driggers Blvd Brunswick, GA 31525

Other MLS #: 1655847 Courtesy Of National Land Realty

Property InformationDescription

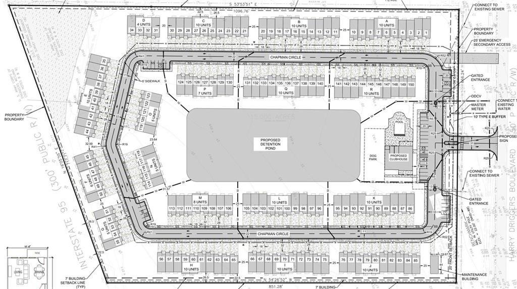
This is an extremely rare opportunity to acquire a fully entitled, shovel-ready 14.98-acre site approved for 150 townhome units in Brunswick, GA one of the last remaining development parcels east of I-95 in fast-growing Glynn County.

A recent housing study identified Glynn County as the seventh most under-supplied county in Georgia, with an estimated shortage of approximately 9,945 housing units. This severe housing gap underscores a compelling opportunity for developers and investors to meet growing demand.

The property has all utilities in place and is zoned for 150 townhomes. Originally designed and approved for a 140 unit build-to-rent community, the site is also well-suited for multifamily development, with both concept plans and full civil plans prepared by a local engineering firm.

Market fundamentals strongly support residential growth in the area, anchored by major employers such as the Federal Law Enforcement Training Center (FLETC), Sea Island Resort, and The Port of Brunswick now the #1 automobile port in the U.S. and currently undergoing expansion.

Additional drivers of demand include top-rated public schools, favorable demographic trends, and rising home values and rental rates, making this site ideal for a Class A residential development.

Ideally located less than 30 minutes from the public beaches of St. Simons and Jekyll Island, the property offers convenient access to the full array of retail, employment, and recreational amenities that make the Golden Isles one of the Southeast's most desirable coastal markets.
MORTGAGE CALCULATOR

Features

  • Architecture Style: Other
  • Legal Description: NA
  • MLSID: 1655847
  • Parking Spaces: 300

MAP & DIRECTIONS

Get Directions
275 Harry Driggers Blvd, Brunswick, GA 31525
View Directions
Copyright © 2025 Golden Isles Association of REALTORS. All rights reserved. All information provided by the listing agent/broker is deemed reliable but is not guaranteed and should be independently verified. Information being provided is for consumers' personal, non-commercial use and may not be used for any purpose other than to identify prospective properties consumers may be interested in purchasing.